ua en ru

К побережью Японии приближается мощный тайфун

15:20 12.08.2019 Пн
2 хв
Тайфун принесет сильные ливни и волны высотой шесть метров
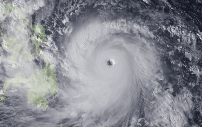
К побережью Японии приближается мощный тайфун Фото: тайфун (GettyImages)

Мощный тайфун №10 движется над водами южной части Японии. Об этом сообщает РБК-Украина со ссылкой на NHK.

Сообщается, что тайфун передвигается на северо-запад над водами к запад-юго-западу от острова Титидзима в гряде островов Огасавара.

“Мощный тайфун №10 движется над водами южной части Японии в северо-западном направлении. Ожидается, что примерно в четверг он приблизится к западной Японии”, - говорится в сообщении.

По прогнозам с вечера понедельника на тихоокеанском побережье западной и восточной частей Японии, включая острова Нансэй, ожидаются сильные ветры и волнение на море, где высота волн может достигать шести метров.

Со второй половины дня понедельника влажный воздух под влиянием тайфуна принесет с собой сильные ливни на тихоокеанское побережье западной и восточной Японии.

Напомним, в результате тайфуна “Лекима”, обрушившегося на Китай, погибло 44 человека.

Как сообщало РБК-Украина, в ночь с пятницы на субботу на восток Китая обрушился тайфун "Лекима". Больше всего от непогоды пострадала китайская провинция Чжэцзян, из нее были эвакуированы более 750 тысяч человек.

Ранее сообщалось, что к восточному побережью Китая приближается супертайфун "Лекима". По данным метеорологов, "Лекима" должен стать самым мощным тайфуном с 2014 года. Из-за непогоды в Китае был объявлен наивысший уровень опасности.

Або читайте нас там, де вам зручно!
Більше по темі: