ua en ru

К побережью Китая приближается супертайфун "Лекима"

10:34 09.08.2019 Пт
2 хв
Тайфун принесет сильные ливни и 10-бальный шторм
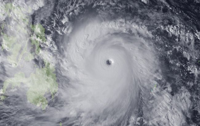
К побережью Китая приближается супертайфун "Лекима" Фото: тайфун (GettyImages)

К восточному побережью Китая приближается супертайфун "Лекима", который должен стать мощнейшим с 2014 года. Об этом сообщает агентство Reuters.

Национальный метеорологический центр (NMC) заявил, что тайфун должен был обрушиться утром в субботу, 10 августа, а затем повернуть на север. Центр выпустил штормовые предупреждения о наивысшей (красной) опасности для области дельты реки Янцзы, которая включает Шанхай.

Ожидается, что сильный дождь и шторм 10-го уровня обрушатся на Шанхай и будут продолжаться до воскресенья, при этом 16 тыс. жителей пригорода будут эвакуированы. NMC предупредил, что уровень осадков в течение 24 часов в восточном Китае может достигать 250-320 миллиметров с полудня пятницы до полудня субботы.

На некоторые поезда из Шанхая приостановили продажу билетов в выходные дни, и Пекин также заявил, что отменит несколько поездов, направляющихся в восточные районы, которые могут пострадать от тайфунов, в район дельты Янцзы.

Тайвань уже отменил рейсы и приказал закрыть рынки и школы. Также отключено электричество в 40 тыс. домов, высокоскоростная железная дорога острова приостановила большинство своих услуг.

Власти острова выпустили предупреждения об оползнях после землетрясения магнитудой 6, обрушившегося на его северо-восточное побережье в четверг, за несколько часов до наступления тайфуна, который принес в северных горах до 900 мм осадков. Более 300 рейсов из Тайваня были отменены, и круизным лайнерам было предложено отложить их прибытие в Шанхай.

Ка сообщало РБК-Украина, в конце июля - начале августа тайфун "Випа" обрушился на город Вэньчан провинции Хайнань на юге Китая. Скорость ветра в эпицентре доходила до 23 метров в секунду.

Отметим, ранее на Филиппинах в результате тайфуна "Мангхут", который вызвал наводнение и оползень, погибли по меньшей мере 69 человек, еще 43 пострадали. От тайфуна "Мангхут", который стал причиной массовых разрушений и жертв на Филиппинах, в Китае пострадали более 350 человек.

Або читайте нас там, де вам зручно!
Більше по темі: