ua en ru

Жертвами тайфуна в Китае стали 13 человек

10:37 10.08.2019 Сб
1 хв
На восток Китая обрушился тайфун "Лекима"
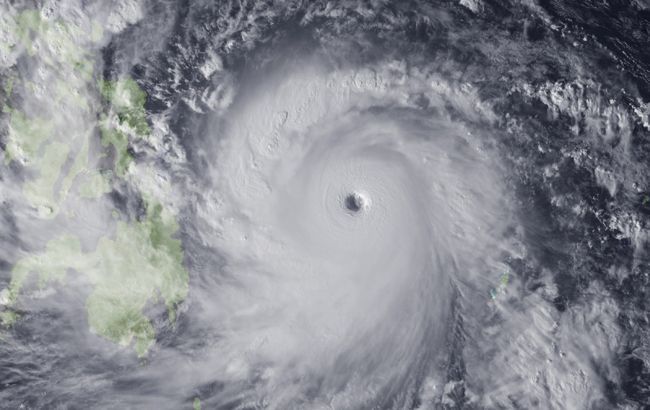
Жертвами тайфуна в Китае стали 13 человек Фото: тайфун (GettyImages)

В результате тайфуна в Китае по состоянию на утро 10 августа погибли 13 человек. Об этом сообщает РБК-Украина со ссылкой на Центральное телевидение Китая.

Как сообщается, в ночь с пятницы на субботу на восток Китая обрушился тайфун "Лекима". Больше всего от непогоды пострадала китайская провинция Чжэцзян, переселены 752 тыс. человек.

Из-за тайфуна в Китае погибли 13 человек, еще 16 человек пропали без вести, более 200 домов разрушены, более 3,2 тыс. - повреждены. Также сообщается, что в Шанхае из-за непогоды переселены 253 тыс. человек.

Напомним, ранее сообщалось к восточному побережью Китая приближается супертайфун "Лекима". По данным метеорологов, "Лекима" должен стать мощнейшим тайфуном с 2014 года. Из-за непогоды в Китае объявлен наивысший уровень опасности.

Также РБК-Украина сообщало, что Индию настигло наводнение. Из-за сильных ливней и селевых потоков, которые продолжаются с 8 августа, уже погибли 42 человека, еще 15 человек считаются пропавшими без вести. Местное население переселяют в лагеря помощи.

Або читайте нас там, де вам зручно!
Більше по темі: