ua
en
ru
Сб, 11 квітня
Новини
Аналітика
Політика
Бізнес
Життя
Розваги
Lifestyle
Спецпроєкти
Новини
Новини України
Війна в Україні
Економіка
Світ
Надзвичайні події
Політика
Аналітика
Статті
Інтерв'ю
Точка зору
Бізнес
Економіка
Фінанси
Авто
Tech
Енергетика
Життя
Гроші
Зміни
Освіта
Суспільство
Розваги
Шоу бізнес
Поради
Гороскопи
Свята
Цікаве
Спорт
Lifestyle
Психологія
Їжа
Подорожі
Здорове життя
Мода та краса
Досьє
Контакти
Команда
Про компанію
Редакційна політика
Знайти
РБК-Україна
» Автори
Роман Калиниченко
редактор стрічки новин
В журналістиці 7 років. Працював випусковим редактором у виданні "Слово і Діло", редактором в Realist. З 2017 по 2019 - в прес-службі Київради, відповідав за взаємодію депутатського корпусу зі ЗМІ. У РБК-Україна - з лютого 2020 року.
Публікації автора
19.05.2020 - 16:46
Последствия непогоды в Киеве: ветер повалил около 40 деревьев
19.05.2020 - 14:45
Лоукостер EasyJet заявил о кибератаке: хакеры украли данные 9 млн клиентов
19.05.2020 - 13:28
"Суд" в Крыму решил принудительно доставить на полуостров освобожденного из плена Бекирова
19.05.2020 - 12:57
Масочный режим и полицейский контроль: как будет происходить перевозка пассажиров в Киеве
19.05.2020 - 11:59
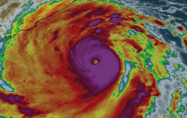
Индия в ожидании сильнейшего шторма за десятилетие: эвакуированы около миллиона людей
19.05.2020 - 11:28
Рада решила пока не рассматривать законопроект о двойном гражданстве
19.05.2020 - 11:03
Зеленский даст пресс-конференцию в Мариинском дворце
19.05.2020 - 10:21
Карантин в Украине будет действовать до 22 июня, - Минздрав
19.05.2020 - 09:20
Рада вышла из карантина: сегодня нардепы могут разблокировать подписание банковского закона
18.05.2020 - 15:12
Почти миллион компенсации за жилье: еще одному экс-нардепу сообщили о подозрении
<
1
2
...
43
44
45
46
47
>
Новини
Росіяни будують нову базу для пуску "Шахедів": розкрито місце та деталі
Аналітика
Уляна Безпалько, Мілан Лєліч
100 днів у владі. Як Буданов змінює Офіс президента і шукає союзників на Банковій