ua en ru

Япония информирует туристов о приближении мощного тайфуна

03:41 11.10.2019 Пт
2 хв
В Японии открыли дополнительные линии круглосуточных колл-центров на иностранных языках
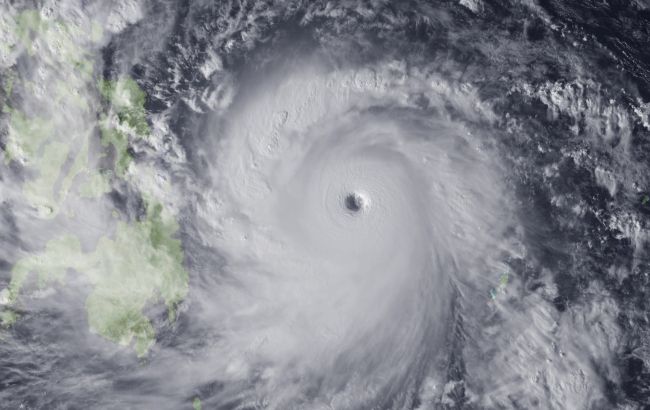
Япония информирует туристов о приближении мощного тайфуна Иллюстративное фото (Getty Images)

В Японии в связи с приближением тайфуна "Хагибис" власти проводят дополнительное информирование иностранных туристов, находящихся на территории страны. Об этом в пятницу сообщает РБК-Украина со ссылкой на японское общественное телевидение NHK.

В Японском метеорологическом агентстве прогнозируют, что "Хагибис" будет сопоставим по силе с тайфуном "Ида", обрушившимся на страну 61 год назад и унесшим жизни свыше 1,2 тыс. человек.

В связи с этим в стране ткрылись дополнительные линии круглосуточных колл-центров на иностранных языках, предоставляющие туристам всю необходимую информацию, связанную с приближающимся тайфуном.

Кроме того, туристов информируют с помощью специальных приложений, также на разных языках, и через социальные сети.

Отмечается, что число иностранных туристов, находящихся в настоящее время в Японии, значительно превышает средний показатель для этого времени года из-за проходящего в стране Кубка мира по регби.

Из-за приближающегося тайфуна "Хагибис" японские авиакомпании приняли решение об отмене порядка 800 внутренних авиарейсов, запланированных на 12 октября, что составляет почти 90% суточных перевозок, также железнодорожный оператор JR принял решение в субботу сократить количество поездов на самой загруженной линии между Токио и Осакой, а во второй половине дня полностью прекратить сообщение на этом маршруте.

Ранее национальное Метеорологическое управление официально предупредило, что тайфун "Хагибис" 12 и 13 октября пройдет по основной территории Японии и, возможно, нанесет удар непосредственно по столице страны.

В настоящее время тайфун движется к Японии с юго-востока со скоростью 25 км/ч, порывы ветра в его центральной части достигают скорости 50 м/с.

Напомним, 7 октября президент США Дональд Трамп объявил чрезвычайное положение для Содружества Северных Марианских островов и приказал правительству США помочь местным властям отреагировать на надвигающийся тайфун "Хагибис".

Або читайте нас там, де вам зручно!
Більше по темі: