ua en ru

На Австралію насувається потужний тропічний циклон: чому місцеві б'ють на сполох

15:38 13.02.2025 Чт
3 хв
На Австралію насувається потужний тропічний циклон: чому місцеві б'ють на сполох До узбережжя штату Західна Австралія наближається небезпечний тропічний циклон Zelia (фото: Getty Images)

На Австралію насувається потужний тропічний циклон Zelia. За словами місцевих експертів, його сила може досягти максимальної, п'ятої категорії.

Про це повідомляє РБК-Україна із посиланням на The Guardian.

Зміст

Чим небезпечний тропічний циклон Zelia

В цілому тропічні циклони небезпечні тим, що викликають дуже сильні вітри, зливи, високі хвилі, а в деяких випадках - руйнівні шторми та повені у прибережних районах суші.

Тропічний циклон Zelia сформувався неподалік узбережжя штату Західна Австралія та швидко посилюється, рухаючись над теплими водами океану. Згідно з прогнозами, найпотужнішим (а отже і найнебезпечнішим) він стане саме тоді, коли досягне суші.

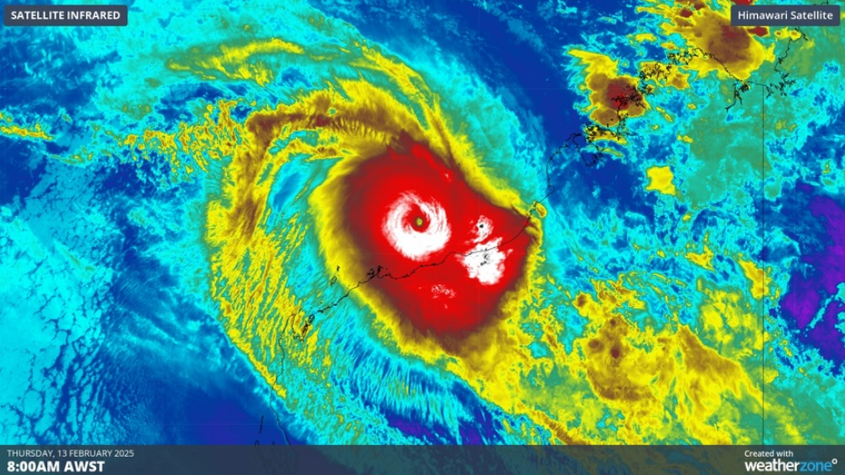
На Австралію насувається потужний тропічний циклон: чому місцеві б'ють на сполохТакий вигляд має тропічний циклон Zelia із супутника (інфографіка: weatherzone.com.au)

Очікується, що на сушу він "зайде" між містами Порт-Гедленд і Роборн вже завтра (у пятницю, 14 лютого) ввечері.

Міріам Бредбері з Бюро метеорології повідомила, що в цьому урагані вже відбувся так званий "цикл заміни стіни ока" (кільця щільних грозових хмар, які оточують центр циклону, і зазвичай завдають найбільших руйнувань під час проходження над певним районом).

За її словами, це явище трапляється лише "під час найсильніших циклонів", які "нищать усе на своєму шляху - дерева, стежки та постійні споруди".

На Австралію насувається потужний тропічний циклон: чому місцеві б'ють на сполохПотужний тропічний циклон Zelia станом на ранок 13 лютого (інфографіка: weatherzone.com.au)

Прем'єр-міністр Західної Австралії Роджер Кук підтвердив, що ця подія "буде масштабною".

"Цей циклон - небезпечна система. Він великий, сильний і дуже непередбачуваний... Люди в Пілбарі (одному з дев'яти регіонів австралійського штату) повинні бути готові. І вони повинні бути готові вже зараз", - наголосив посадовець.

Старший метеоролог з Бюро Ангус Хайнс нагадав, що п'ята категорія урагану є найвищою (швидкість вітру та його сила можуть руйнувати будинки, виривати дерева, знищувати лінії електропередач).

"Гірше не буває... Це - найпотужніший тропічний циклон, який тільки можна отримати", - вважає спеціаліст.

Як в Австралії готуються до зустрічі зі стихією

У межах підготовки до зустрічі з тропічним циклоном, на півночі штату Західна Австралія закривають школи, обмежують рух дорогами (включно з Великим північним шосе) та закривають пляжі й порти.

Рятувальники підготували додатковий персонал, протипотокові човни та літаки. У Південному Хедленді за потреби планують створити центр евакуації.

Очікується, що коли ядро системи переміститься через узбережжя, швидкість вітру може сягати 320 км/год. Крім того, ймовірні раптові повені, смуги штормів і злив (у деяких районах прогнозують понад 500 мм опадів).

Комісар Департаменту пожежної та надзвичайних ситуацій Даррен Клемм підтвердив, що існує "значна загроза життю та майну".

Місцевих мешканців і гостей регіону закликають якнайретельніше підготуватися до приходу стихії заздалегідь, знайти безпечне укриття та вжити всіх необхідних у такій ситуації заходів.

Або читайте нас там, де вам зручно!
Більше по темі: